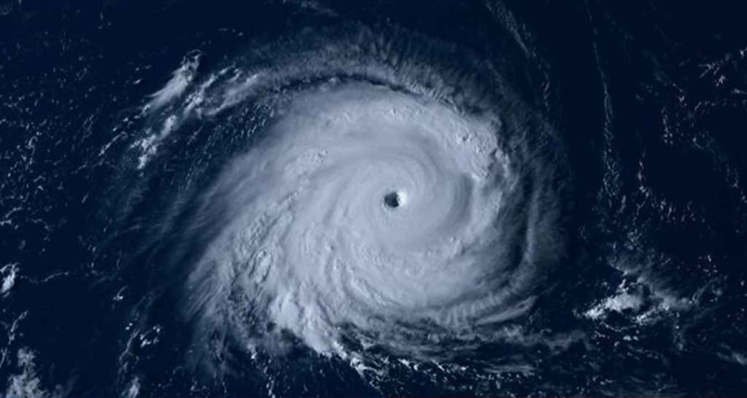
দক্ষিণ চীন সাগর থেকে দ্রুত হংকংয়ের দিকে এগিয়ে যাচ্ছে শক্তিশালী সুপার টাইফুন রাগাসা। এ কারণে উপকূলীয় এলাকা থেকে বাসিন্দাদের সরিয়ে নিয়েছে হংকং। নিরাপত্তার স্বার্থে বন্ধ করে দেয়া হয়েছে বিমানবন্দর ও শিক্ষাপ্রতিষ্ঠান।
সোমবার (২২ সেপ্টেম্বর) দেশটির সংবাদমাধ্যম হংকং ফ্রি পোস্টের এক প্রতিবেদনে এ তথ্য জানানো হয়েছে। এতে বলা হয়েছে, মঙ্গলবার সন্ধ্যা ৬টা থেকে বৃহস্পতিবার সকাল ৬টা পর্যন্ত ৩৬ ঘণ্টার জন্য হংকং আন্তর্জাতিক বিমানবন্দর পুরোপুরি বন্ধ থাকবে। তবে টার্মিনাল খোলা থাকবে। পরিস্থিতি অনুযায়ী মঙ্গলবার দুপুরে ফ্লাইট বাতিল বা বিলম্বের বিষয়ে আনুষ্ঠানিক ঘোষণা আসবে।
এদিকে টাইফুন সতর্কতা জারি করেছে হংকং অবজারভেটরি। সোমবার দুপুরে ১ নম্বর সংকেত দেয়া হলেও রাতে তা সংকেত নম্বর ৩-এ করা হবে। মঙ্গলবার দুপুর থেকে বিকেল নাগাদ আরও জোরালো সতর্কতা সংকেত (নম্বর ৮) জারি হতে পারে বলে জানিয়েছে কর্তৃপক্ষ।
জানা গেছে, সুপার টাইফুন রাগাসা সোমবার ভোরে ফিলিপাইনের লুজোন প্রণালী অতিক্রম করেছে। এর কেন্দ্রস্থলে বাতাসের গতিবেগ ঘণ্টায় ২৩০ কিলোমিটার রেকর্ড করা হয়েছে।
বিশেষজ্ঞদের মতে, এর ব্যাপকতা ও গতি হংকং ও গুয়াংডং উপকূলে বড় ধরনের ঝুঁকি তৈরি করছে। সরাসরি আঘাত না হানলেও এর প্রভাব ২০১৮ সালের মাংখুত টাইফুনের চেয়েও ভয়াবহ হতে পারে।
টাইফুনের কারণে সমুদ্রের জোয়ার মারাত্মকভাবে প্রভাবিত হওয়ার আশঙ্কা রয়েছে। কিছু এলাকায় পানির উচ্চতা ৪-৫ মিটার পর্যন্ত উঠতে পারে, যা রেকর্ড পর্যায়ে পৌঁছাতে পারে। হংকংয়ের নিম্নাঞ্চল যেমন লেই ইউ মুন, হেং ফা চুয়েন, তুয়েন মুনের গ্রাম এবং তাই ও অঞ্চল প্লাবিত হতে পারে বলে সতর্ক করা হয়েছে। ইতোমধ্যে সরকার সব মন্ত্রণালয়কে জরুরি প্রস্তুতি জোরদার করতে নির্দেশ দিয়েছে এবং নাগরিকদের দ্রুত সতর্ক হওয়ার আহ্বান জানিয়েছে।
